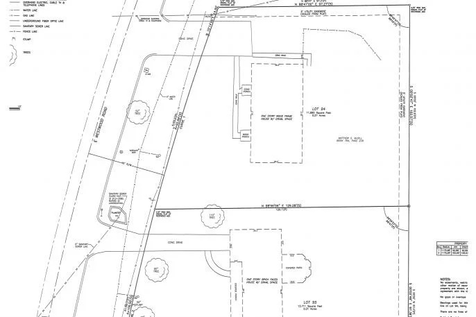
General Property Surveys
Annually, SMH completes dozes of property surveys. These surveys range in type from Mortgage Title Inspections, to Boundary Surveys, to Certificates of Survey, and Plot Plans. The information gathered in these surveys is used by property owners and financial institutions for projects as simple as fence construction to securing financing for home improvements, refinancing, or even new home purchases. SMH’s reputation in the realm of property surveys has earned SMH many repeat customers and an abundance of existing record surveys that give SMH surveyors a head start towards completion. With this existing information property surveys are completed quickly and more cost effectively.
 
                        